Das New Forest Pony ist ein Reitpony mit vielseitiger Begabung, ausdrucksstarker Erscheinung und freundlichem Wesen – Es präsentiert sich eine Rasse, die wie geschaffen ist für das Freizeitreiten in sämtlichen Disziplinen. Ob Springen, Dressur oder Fahren, nicht nur für Kinder, Jugendliche und Anfänger, sondern auch für Erwachsene sind die robusten Ponys ein zuverlässiger und trittsicherer Partner im Rahmen des Hobbysports. Ihr ausgeprägtes Bewegungs- und Sprungvermögen macht sportliche Erfolge möglich, während sie sich aufgrund ihres genügsamen und ausgeglichenen Temperaments bestens als Familienpony eignen. Alles über das New Forest Pony erfährst Du in diesem Artikel.
Inhalte
Wichtige Daten zum New Forest Pony im Überblick
- Ursprung: England
- Hauptzuchtgebiet: England
- Verbreitung: ganz Europa
- Stockmaß: 1,35m bis 1,48m
- Gewicht: 500 bis 600kg
- Erscheinungsbild: ausdruckstarkes, robustes Pony
- Farben: alle Farben außer Schecken
- Haupteinsatzgebiet: Fahrpony, Kinderpferd
Zuchtgeschichte
Ursprung
Das New Forest Pony hat seinen Ursprung in den auf den britischen Inseln beheimateten Rassen, die bereits im 10. und 11. Jahrhundert in den Waldgebieten der Region Southampton ansässig waren und erstmals im Jahr 1016 urkundlich erwähnt wurden. In freier Wildbahn in den von König William Rufus als „Neues Jagdgebiet“, „New Forest“, erklärten Wäldern lebend kreuzten sich die Moorponys mit Pferden unterschiedlicher Rasse. Nicht zuletzt um ein eleganteres Aussehen und eine beachtlichere Größe zu erzielen wurden über die Jahrhunderte hinweg gezielt andere Ponyrassen sowie Vollblüter und Araber eingekreuzt. Da jedoch kein Stutbuch vorlag, lassen sich diese Ahnenreihen beim New Forest Pony nur über kurze Zeiträume verfolgen.
Ende des 19. Jahrhunderts sollten sich die Zuchtbestrebungen schließlich festigen, zumal sich erste Vereinigungen gründeten, darunter die Burley & District New Forest Pony Breeding & Cattle Society, die erstmals Registrierungen vornahm und 1910 das erste Stutbuch herausgab. Waren anfänglich noch Hengste verschiedener Rassen zur Zucht zugelassen, so stellten sich ab Mitte der 1930er Jahre eine sorgfältigere Prüfung der Eintragungen und der Verzicht auf die Einführung von Fremdblut ein. Bis 1959 zeichnete die National Pony Society die Eintragungen auf, ehe 1960 das bis heute maßgebliche Stutbuch der New Forest Pony Breeding & Cattle Society eingeführt wurde.
Zuchtmethodik & Veredelung
In Deutschland wurde das New Forest Pony in den 1960er Jahren importiert und erstmals von Gestüten in Bayern, Schleswig-Holstein und im Weser-Ems-Land gezüchtet. Die Größe und ausgesprochene Rittigkeit der im Reitponytyp stehenden Rasse machten das New Forest Pony auch im Zuge der wachsenden Kinder- und Jugendreiterei zu einem beliebten Freizeitpferd.
Zuchtbücher/ Zuchtverbände
Heute werden die Ponys in Reinzucht entsprechend der Bestimmungen des britischen Zuchtverbands gezüchtet. Pferde mit Sommerekzem sind dabei nicht zugelassen.
Die Einhaltung der Zuchtstandards liegt in Großbritannien nach wie vor in den Händen der New Forest Pony Breeding & Cattle Society. Die Grundsätze sind auch für die in Deutschland vertretenen Züchtervereinigungen maßgeblich, die das New Forest Pony mit Anschluss an die Deutsche Reiterliche Vereinigung in eigenständigen Teilpopulationen züchten.
Aussehen (Exterieur) vom New Forest Pony
Größe
Das New Forest Pony wird in zwei verschiedenen Typrichtungen gezüchtet, die sich hinsichtlich ihrer Größe unterscheiden. Während ein Pferd vom Typ A ein durchschnittliches Stockmaß von 143 Zentimetern aufweist und maximal 1,48 Meter erreichen sollte, werden die kleineren Ponys lediglich um die 122 Zentimeter groß. Letztere sind jedoch entsprechend des Bedarfs an größeren Reitponys immer seltener anzutreffen.
Gebäude
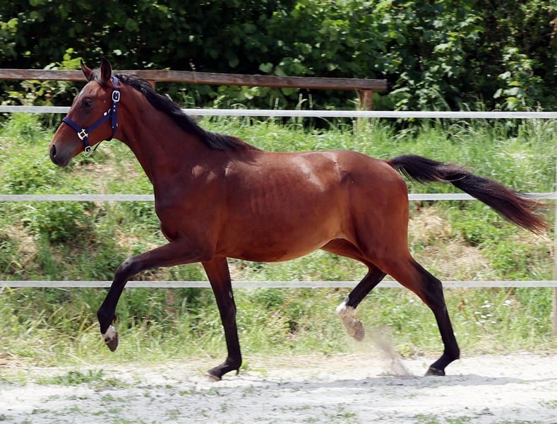
Das Gebäude präsentiert sich mit einem mittelgroßen, edlen Kopf, dem durch die breite Stirn und der geraden bis konkaven Nasenlinie eine bemerkenswerte Ausdrucksstärke verliehen wird. Die rassetypischen großen Augen mit klarem Blick lassen das New Forest Pony verlässlich und ausgeglichen wirken. Nicht weniger beachtlich ist auch der gut aufgesetzte und leicht gebogene Hals mit ausreichend Ganaschenfreiheit, der in lange, schräge Schultern und einen kräftigen Rücken mit gut bemuskelter Kruppe übergeht. Ovalrippig und mit einem gut ausgebildeten Widerrist ausgestattet bietet sich beim New Forest Pony stets eine ausreichende Gurtentiefe. Das kräftige Fundament zeichnet sich durch klar ausgebildete Gelenke, harte und korrekte Hufen sowie durch mittelstarke Röhrbeine mit einer muskulösen, gut gewinkelten Hinterhand aus.
Fell und Färbungen
Das New Forest Pony zeigt sich hinsichtlich seiner Fellfärbung äußerst vielseitig, denn grundsätzlich können mit Ausnahme von Tigern, Schecken und blauäugigen Palominos alle Farben vorkommen. Mit Blick auf die Zucht dürfen helle Füchse mit dunklen Augen und sämtliche Palominos nur als Stute und Wallach eingetragen werden. Einschränkungen bestehen zudem bei weißen Abzeichen, die am Kopf nicht auf der gesamten Gesichtsfläche und auch an den Beinen nur stellenweise gewünscht sind.

Das New Forest Pony zeigt sich hinsichtlich seiner Fellfärbung äußerst vielseitig.
Grundgangarten / Bewegungen / Bewegungsablauf
Neben der abwechslungsreichen Fellfärbung macht das New Forest Pony zudem mit seinem elastischen und sehr raumgreifenden Bewegungsablauf auf sich aufmerksam. Ohne übertriebene Aktionen und mit reichlich Schub aus der Hinterhand erweisen sich die Ponys als vielseitige Bewegungstalente, die ebenso im Dressur- und Springreiten wie in der Vielseitigkeit oder beim Fahren eine gute Figur machen. Hierbei zeigen sie sich stets schwungvoll und ausdauernd mit einem hohen Maß an Wendigkeit und Trittsicherheit.
New Forest Pony im Video
Charakter (Interieur)
Mit seinem ausgeglichenen und ruhigen Temperament ist das New Forest Pony ein gutmütiger und unkomplizierter Partner. Sowohl mutig als auch intelligent erweisen sich die Ponys stets als sehr zuverlässig und gelehrig. Diese positiven Charaktereigenschaften machen das New Forest Pony zu einem idealen Freizeitpartner für Kinder und unerfahrene Reiter.
Neue Forschungsprojekte haben ergeben, dass eine große genetische Vielfalt nicht nur zu einer sehr guten körperlichen Gesundheit beiträgt, sondern auch den Charakter maßgeblich mitbestimmt. Das New Forest Pony hat eine sehr vielfältige und gemischte Rassegeschichte und bestätigt diese Ergebnisse vollständig. So gelten die Ponys als äußerst nervenstark.
New Forest Pony – Verwendung
Durch sein freundliches Wesen und sein natürliches Bewegungs- und Sprungtalent ist das New Forest Pony ideal für sämtliche Zwecke im Bereich des Reit- und Freizeitsports geeignet. Vor allem Kinder und Jugendliche, aber auch Erwachsene finden in der robust gebauten Ponyrasse einen verlässlichen und lernfreudigen Begleiter für das Hobbyreiten, angefangen bei Springübungen bis hin zur Dressur, der Vielseitigkeit oder dem Fahrsport. Ob als Kutschpferd oder Polo- und Jagdpony, für das Wanderreiten und Springen oder für Distanz– und Ausritte in freier Natur, das New Forest Pony lässt sich in allen Disziplinen einsetzen. Aufgrund des ausgeglichenen Charakters sind nicht zuletzt Anfänger und unerfahrene Reiter gut im Sattel aufgehoben.
Besonderheiten vom New Forest Pony
Das New Forest Pony ist typischerweise ein guter Futterverwerter, sehr genügsam und anspruchslos in der Haltung.
Längst europaweit gezüchtet ist das New Forest Pony auch in seinem Herkunftsgebiet nach wie vor vertreten, denn noch heute lebt eine Herde mit etwa 2.500 Ponys in den Wäldern des königlichen Jagdgebietes in freier Wildbahn.
Haltung, Erziehung, Training & Pflege
Das New Forest Pony passt aufgrund seiner Größe in die Standard-Boxengröße sehr gut hinein, wodurch die Stallsuche nicht schwerfallen sollte. Auch sonst zeigen sich die Ponys sehr pflegeleicht und unkompliziert. Sie sind robust und zäh und kommen deshalb problemlos mit der Haltung im Offenstall klar. Wie alle Pferde benötigen sie viel Auslauf und Bewegung an der frischen Luft, am besten zusammen mit Artgenossen.
Fütterungstechnisch ist hingegen einiges zu beachten. Die New Forest Ponys stammen aus einer Gegend, in der es vor allem Moor- und Heideflächen gibt. Das Futterangebot ist dort relativ mager. Bei der Fütterung durch den Menschen werden die Ponys daher oft überfüttert und neigen zu Übergewicht. Hier ist auf eine gute, angepasste Fütterung zu achten. So kann beispielsweise zu viel Kraftfutter Stoffwechselkrankheiten auslösen.
Durch ihren gutmütigen, freundlichen Charakter gestaltet sich die Erziehung der New Forest Ponys in der Regel sehr entspannt. Die Ponys versuchen stets zu gefallen und es dem Menschen recht zu machen. Wie bei allen Pferden sollte die Grunderziehung dennoch von klein an konsequent gefestigt werden.

Wie bei allen Pferden sollte die Grunderziehung von klein an konsequent gefestigt werden.
In der reiterlichen Ausbildung zeigen sich die meisten Rassevertreter sehr fleißig und motiviert. Durch ihre ausdrucksstarken Bewegungen sind die Ponys für alle Sparten der Reiterei sowie vor der Kutsche bestens geeignet. Die Pferde sind intelligent und lernwillig und benötigen daher eine abwechslungsreiche und spannende Ausbildung.
Wie bereits beim Thema Haltung erwähnt, sind die Ponys sehr pflegeleicht. Das Fell ist leicht sauber zu halten. Die Hufe sind robust und brechen bei guter Fütterung nicht schnell aus. Nur das dichte Langhaar muss manchmal entwirrt werden, aber das ist auch bei anderen Pferderassen der Fall.
Bekannte New Forest Ponys
Ein besonderer Vererber ist zweifelsohne der 1966 geborene Hengst Furzey Lodge Golden Wonder, der von England aus in die Niederlanden importiert und dort als New Forest Pony gekört wurde. Erst nach zahlreichen Deckeinsätzen und sportlichen Erfolgen stellte sich heraus, dass es sich anders als geglaubt nicht um das reinrassige, in England eingetragene New Forest Pony handelte. Infolge dessen wurde zunächst die Registrierung der Nachkommen unterbunden und später im Einvernehmen mit dem britischen Zuchtverband eine Beschränkung des Blutanteils aus der Golden Wonder-Linie eingeführt. Heute werden daher ausschließlich Ponys als New Forest Pony anerkannt, die weniger als 6,25 Prozent Blutanteil aufweisen.










